Okra / Bhindi (Abelmoschus esculentus L.)

Yellow vein mosaic (Bhindi Yellow Vein Virus)

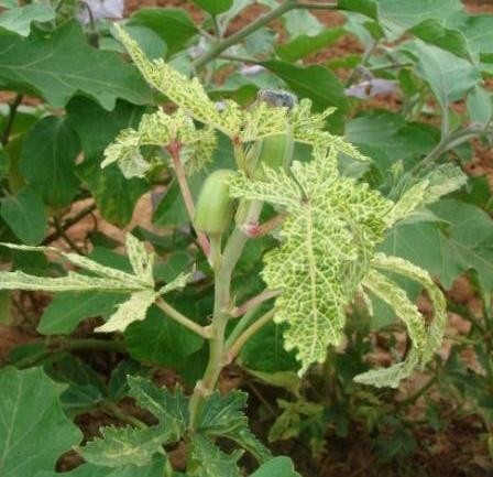
Symptoms

  • The disease begins as leaves exhibiting only yellow coloured veins but in the later stages, the entire leaf turns completely yellow.
  • In extreme cases, the infected leaf becomes totally light yellow or cream coloured and there is no trace of green colour
  • Plants infected in the early stages remain stunted.
  • The fruits of the infected plants exhibit pale yellow colour, deformed, small, tough in texture and unfit for consumption.

Management

  • Use disease free seed from the disease free area or healthy plant.
  • Rogue out the infected plants.
  • Place yellow sticking traps in field to control the insect vector.
  • Use of resistant varieties like Arka Anamika, Arka Abhay and Susthira.
  • Destruction of host weeds like Croton sparsiflora and Ageratum sp. are also effective.
  • Avoid mixed cropping of pumpkin
  • Plant tall border crops like maize, sorghum or pearl millet to reduce whitefly infestations (4 rows).
  • Conserve predators such as coccinellids, lacewings, spiders, predatory bugs (Dicyphus hesperus), wasps etc.
  • Conserve parasitoids such as Encarsia sp, Eretmocerus spp. (nymphal and pupal), Chrysocharis pentheus (nymphal) etc.
  • Release Chrysoperla carnea @ 8,000 larvae/acre
  • Spray NSKE 5% or azadirachtin 0.03% (300 ppm) neem oil based WSP @ 1000-2000 ml in 200-400 l of water/acre or azadirachtin 5% W/W neem extract concentrate @ 80 ml in 160 l of water/acre

Chemical Control

Sl.No Generic Name Trade Name Color code Dosage/litre Knapsack Sprayer (Capacity 10L) Recommendation Remarks
Dosage/acre (200 L) Dosage/hectare (500 L)
1 Dimethoate 30 EC Nugor, Rogor, Tagor, Tara 909 Yellow 2 ml/litre of water 20 ml 200 ml 1000 ml -
Responsive image
Extremely Toxic
Responsive image
Highly Toxic
Responsive image
Moderately Toxic
Responsive image
Slightly Toxic