Carrot (Daucus carota)

Leaf blight (Cercospora carotae)

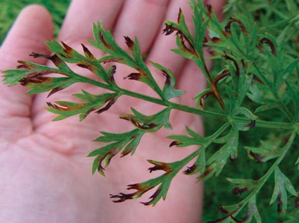
Symptoms

  • The symptoms first appear along the margins of the leaves, often causing the leaves to curl.
  • Spots inside the leaf edges are small, roughly circular, and tan or gray to brown with a dead center.
  • As the lesions increase in number and size, the entire leaflet withers and dies.
  • The fungus attacks younger leaves and plants in preference to older ones.
  • The pathogen also produces lesions on the petioles and stems.
  • The lesions may merge and girdle the stems, causing the leaves to die.
  • Entire leaves and petioles may die on severely infected plants.

Management

  • Follow crop rotation and field sanitation.
  • Use disease free seeds.

Chemical Control

Sl.No Generic Name Trade Name Color code Dosage/litre Knapsack Sprayer (Capacity 10L) Recommendation Remarks
Dosage/acre (200 L) Dosage/hectare (500 L)
1 Carbendazim 50 WP Bavistin, Benfil, Bengard, Benlate, Benmain, Bensaan, Carben, Carziim50, Dhanustin, Dhanustin 50 WP, Fungiguard, Gancarzin50, Glizim, Mintho, Tagstin, Tiara, Zoom Green 2 g/litre of water/kg of seed - - - Seed treatment
2 Mancozeb 75 WP Devidayal M-45, Dhanuka M 45, Dhanuka M-45, Dithane, Dithane M-45, Hilthane, Hindustan M 45, Indofil M 45, Izeb M-45 Manzate, Luzen-45, Macoban, Macoban M-45, Mancosaan, Mancosaan M-45, Maneb Manzane, M-Guard, Savour M 45, Tata M-45 Eurofil-NT, Uthane M-45, Veera, Zinthane Green 4 g/litre of water/kg of seed - - - Seed treatment
3 Copper hydroxide 77 WP HiDice, Kocide 101 Blue 1 g/litre of water 10 g 200 g 500 g -
4 Copper oxychloride 50 WP Bensaan, Blitox, Blue copper, Bluetrox, Copter, Cupramar, Cuprina, Dhanucop, Fytolan, Fytox, Fytran, Fytolan, Hilcopper, Killex copper, Maincop Dhanucop, Star cop, Tagcop, Trucop Blue 2 g/litre of water 20 g 400 g 1000 g -
5 Mancozeb 75 WP Devidayal M-45, Dhanuka M 45, Dhanuka M-45, Dithane, Dithane M-45, Hilthane, Hindustan M 45, Indofil M 45, Izeb M-45 Manzate, Luzen-45, Macoban, Macoban M-45, Mancosaan, Mancosaan M-45, Maneb Manzane, M-Guard, Savour M 45, Tata M-45 Eurofil-NT, Uthane M-45, Veera, Zinthane Green 3 g/litre of water 30 g 600 g 1500 g -
6 Carbendazim 50 WP Bavistin, Benfil, Bengard, Benlate, Benmain, Bensaan, Carben, Carziim50, Dhanustin, Dhanustin 50 WP, Fungiguard, Gancarzin50, Glizim, Mintho, Tagstin, Tiara, Zoom Green 1 g/litre of water 10 g 200 g 500 g -
Responsive image
Extremely Toxic
Responsive image
Highly Toxic
Responsive image
Moderately Toxic
Responsive image
Slightly Toxic