Okra / Bhindi (Abelmoschus esculentus L.)
Yellow vein mosaic (Bhindi Yellow Vein Virus)
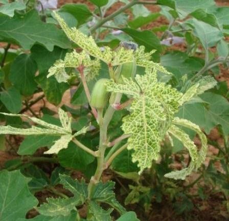
Symptoms
- The disease begins as leaves exhibiting only yellow coloured veins but in the later stages, the entire leaf turns completely yellow.
- In extreme cases, the infected leaf becomes totally light yellow or cream coloured and there is no trace of green colour
- Plants infected in the early stages remain stunted.
- The fruits of the infected plants exhibit pale yellow colour, deformed, small, tough in texture and unfit for consumption.
Management
- Use disease free seed from the disease free area or healthy plant.
- Rogue out the infected plants.
- Place yellow sticking traps in field to control the insect vector.
- Use of resistant varieties like Arka Anamika, Arka Abhay and Susthira.
- Destruction of host weeds like Croton sparsiflora and Ageratum sp. are also effective.
- Avoid mixed cropping of pumpkin
- Plant tall border crops like maize, sorghum or pearl millet to reduce whitefly infestations (4 rows).
- Conserve predators such as coccinellids, lacewings, spiders, predatory bugs (Dicyphus hesperus), wasps etc.
- Conserve parasitoids such as Encarsia sp, Eretmocerus spp. (nymphal and pupal), Chrysocharis pentheus (nymphal) etc.
- Release Chrysoperla carnea @ 8,000 larvae/acre
- Spray NSKE 5% or azadirachtin 0.03% (300 ppm) neem oil based WSP @ 1000-2000 ml in 200-400 l of water/acre or azadirachtin 5% W/W neem extract concentrate @ 80 ml in 160 l of water/acre
Chemical Control
| Sl.No | Generic Name | Trade Name | Color code | Dosage/litre | Knapsack Sprayer (Capacity 10L) | Recommendation | Remarks | |
|---|---|---|---|---|---|---|---|---|
| Dosage/acre (200 L) | Dosage/hectare (500 L) | |||||||
| 1 | Dimethoate 30 EC | Nugor, Rogor, Tagor, Tara 909 | Yellow | 2 ml/litre of water | 20 ml | 200 ml | 1000 ml | - |

Extremely Toxic

Highly Toxic

Moderately Toxic



