KAU Agri-Infotech Portal
Information Gateway on Agriculture to convert "Know How To Do How"
Centre for e-Learning
Kerala Agricultural University
KAU Agri-Infotech Portal
Centre for e-Learning
Kerala Agricultural University
Information Gateway on Agriculture to convert "Know How To Do How"
Home
About Us
Announcement
Feedback
Gallery
Photo
Video
Agri News
Training
Conducted Trainings
Upcoming Trainings
Farmers FAQ
Edu Links
Agri Diksha
KAU Moodle
Contact Us
മലയാളം
About
Climate and Soil
Varieties
Seed Rate and Spacing
Land Preparation and Planting
Manuring
After Cultivation
Plant Protection
Harvesting
Ragi
(Eleusine coracana)
Pests
Pink Stem Borer
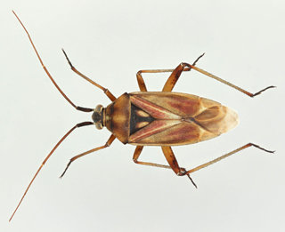
Ear Head Bug
Aphids
Cutworms
Copyright © 2026. Developed and Maintained by
Centre for e-Learning, Kerala Agricultural University
|
Disclaimer